Disclaimer & Copyright Notices; Optimized for the IE & Firefox
Community Stewardship Practices
Soil & Water Conservation Society of Metro Halifax (SWCSMH)
Updated: October 30, 2021 
First Lake web page (opens in a new window)
Contents:
Demonstration Project at First Lake, Sackville
(.... also view the 136 pg., report on Dr. Patriquin's website)
(Note: First Lake has not improved in
some water quality parameters (e.g., Total Phosphorus) to date (cf. OneDrive folder on First Lake). Irrespective of that, this
project of the former Halifax County does empower the individual in
taking pro-active action.)
Introduction:
Perhaps, the demonstration project (1994-95) at First Lake, Lower Sackville, could be applied to all watersheds anywhere without any unsubstantiated claims especially since it empowers the individual! ... with hearty congratulations from us (SWCSMH) to all the partners in this project. View the 54:47 minute educational video produced by us.
This experimental demonstration project was funded mostly by two levels of Government, Environment Canada and the Nova Scotia Dept. of the Environment under the SEDA (Sustainable Economic Development Agreement).
We herewith take liberty in
pointing out that the approximate one hundred and twenty thousand
dollar ($120,000) project did not document any appreciable reduction in
phosphorus export inspite of the ardent hopes of the proponents of the project.
The project headed by the
Municipality of the County of Halifax did not
include the entire watershed of First lake; it was an demonstration project
only which incorporated experimental stewardship practices of around
1-ha with another similar site as a control. This project was the
successor to an approx. $45,000 study conducted as an initial
assessment funded totally by the Halifax County Municipality.
- The resulting reports were over and
above other independant scientific studies conducted by BIO-DFO, some
graduate researchers at Dalhousie University, and investigations by ourselves.
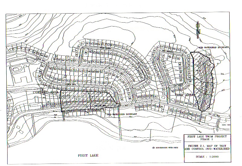
Project maps:
(Source: Edmonds Landscape
and Construction Services Inc., Halifax County Municipality and R.H.
Loucks Oceanology Ltd. 1993/94. The First Lake Total System Watershed
Management Project. Phase 1: Neighbourhood Stewardship. 30p,
appendices.)


Our contribution:
We, the Soil & Water Conservation Society of Metro Halifax (SWCSMH), had filmed the entire public presentation on the demonstration project by the Halifax County Municipality
which was subsequently broadcast on several occasions over the 1990s by
Shaw Community Cable and carried by other cable stations in HRM on our "Science Is Your World" series.
